Bouwgrond
€ 250.000

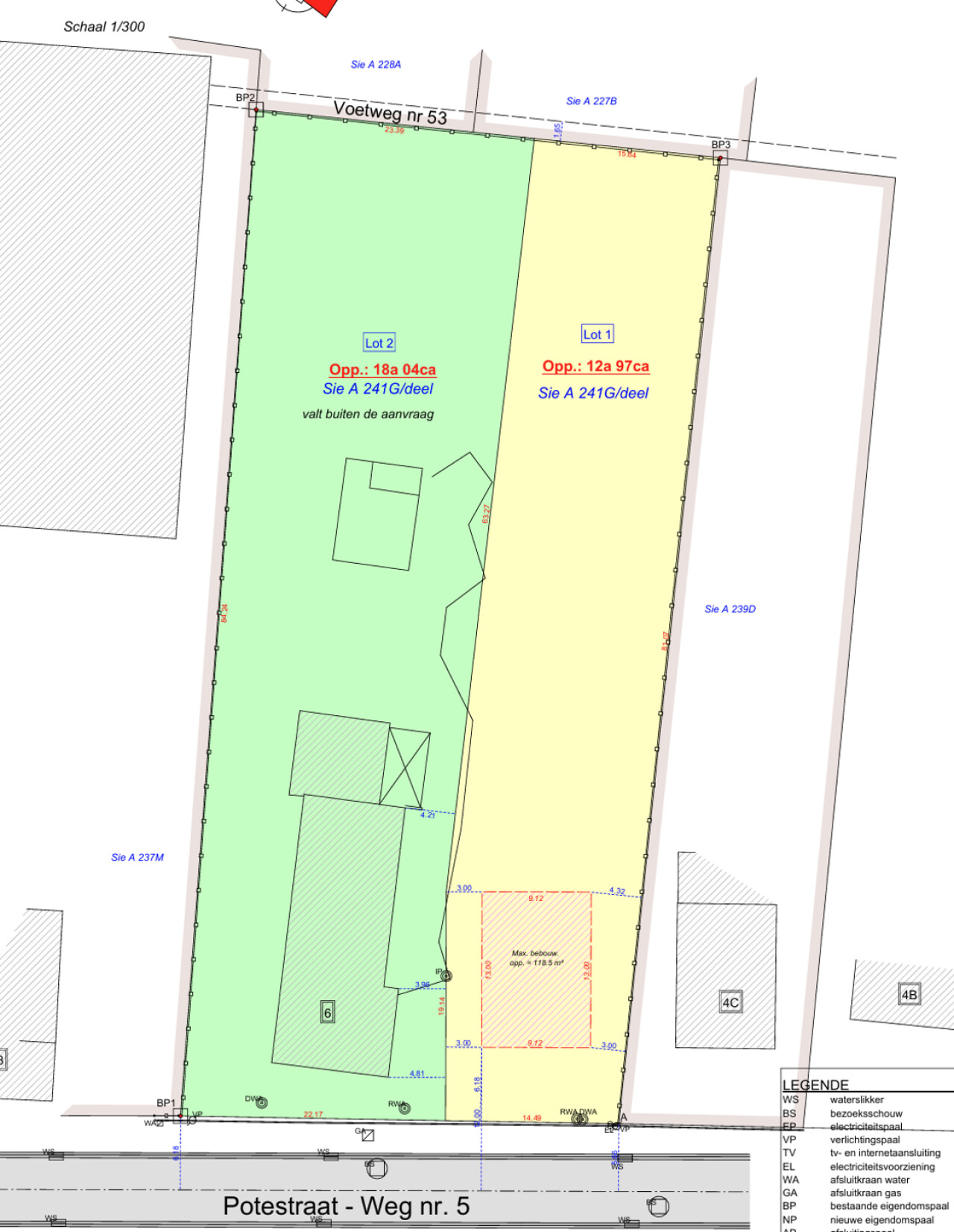
Potestraat 6, 3020 Herent
    • delen

Omschrijving Ref.: 7627737

Bouwgrond voor een open bebouwing in Herent (12a97ca)


Op zoek naar een ruim perceel met mogelijkheden? Dit stuk bouwgrond voor open bebouwing, gelegen in Herent, biedt een unieke kans voor wie graag ruim en dichtbij Leuven woont.
Zie LOT1 op foto.
Kenmerken:
- Oppervlakte: 1297 m²;
- Ligging: Vlakbij Leuven;

Interesse? Neem contact op met Marie 0497/995948 of marie@vastgoedmarie.be


Uw contact

Marie Vansteenbeeck 0497 99 59 48
contact

Details van het pand

Financieel

Prijs
€ 250.000,00
Beschikbaarheid
Vanaf akte

Ligging

School nabij
Ja
Winkels nabij
Ja
Openbaar vervoer nabij
Ja
Autosnelweg nabij
Ja
Sportcentrum nabij
Ja

Terrein

Grondoppervlakte
1.297,00 m²

Stedenbouw

Bestemming
Woongebied met landelijk karakter
Bouwvergunning
Nee
Verkavelingsvergunning
Ja
Voorkooprecht
Nee
Dagvaarding
Niet meegedeeld
G-score
A
P-score
B
Vonnissen
Nee
Servitude
Nee

Meer info over deze eigendom

Bedankt voor je bericht, we contacteren je zo spoedig mogelijk.
Er was een probleem bij het versturen van het formulier, gelieve opnieuw te proberen.
(*) Gelieve de verplichte velden in te vullen.